Skip to content

Daily Field Report

Date :10/23/2024
Project No :2024C168
Client Company :CCG
Arrival Time :10/23/2024 14:00
Onsite Hours :04:30
Name of the Project :Reserve @ Gum Springs
Project Location :Jefferson
Weather :sunny
Departure Time :10/23/2024 18:30
ASEC Technician Name :Aminullah Azimi

Observations/Finding

As requested, the site was visited by our AS Engineering and Consulting (ASEC) representative for the purpose of providing quality control inspection and testing services.  Visual observation techniques were employed to verify compliance with project drawing/specifications, applicable codes, and materials submittals. The following observations were observed on site this day.

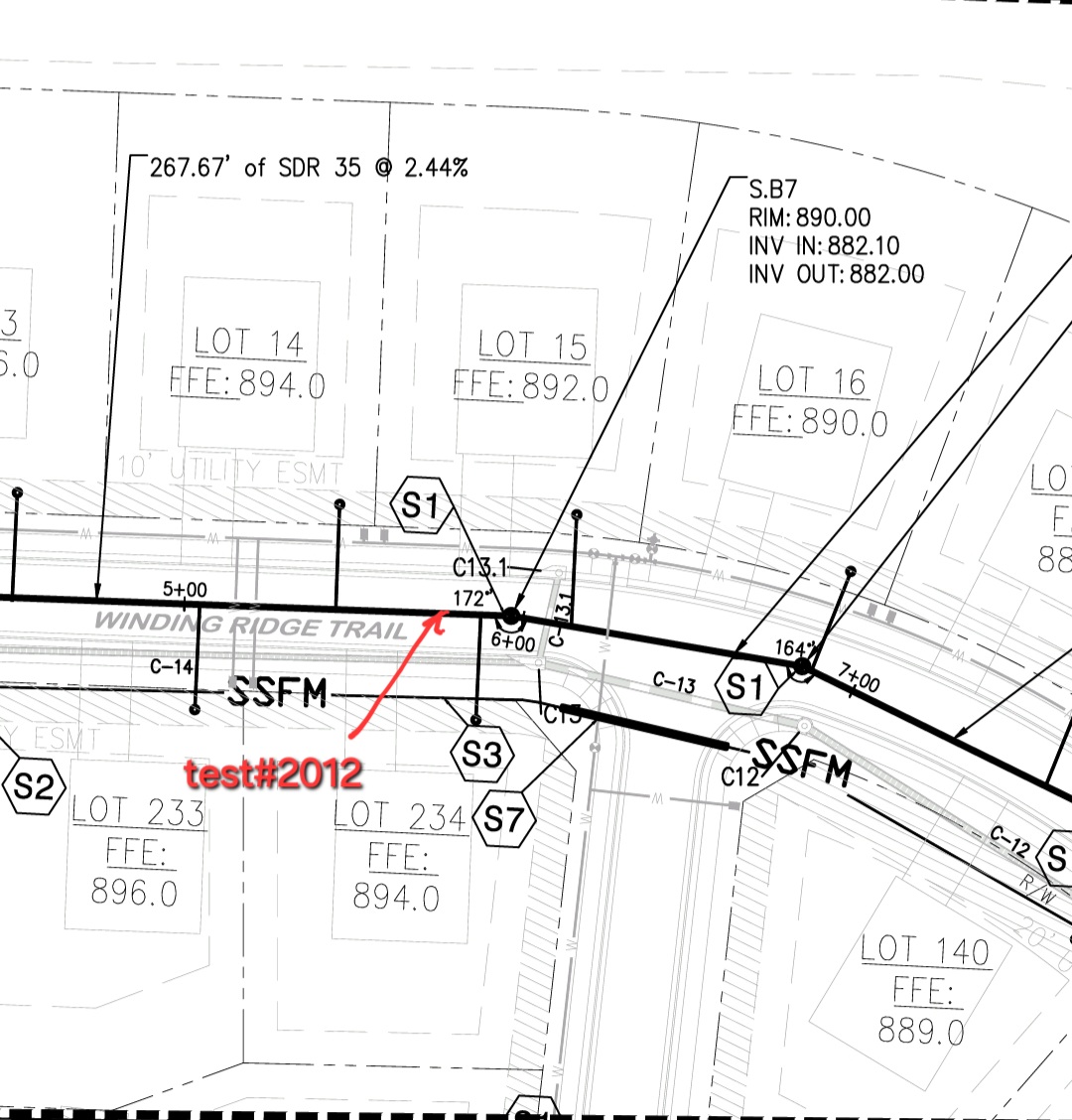
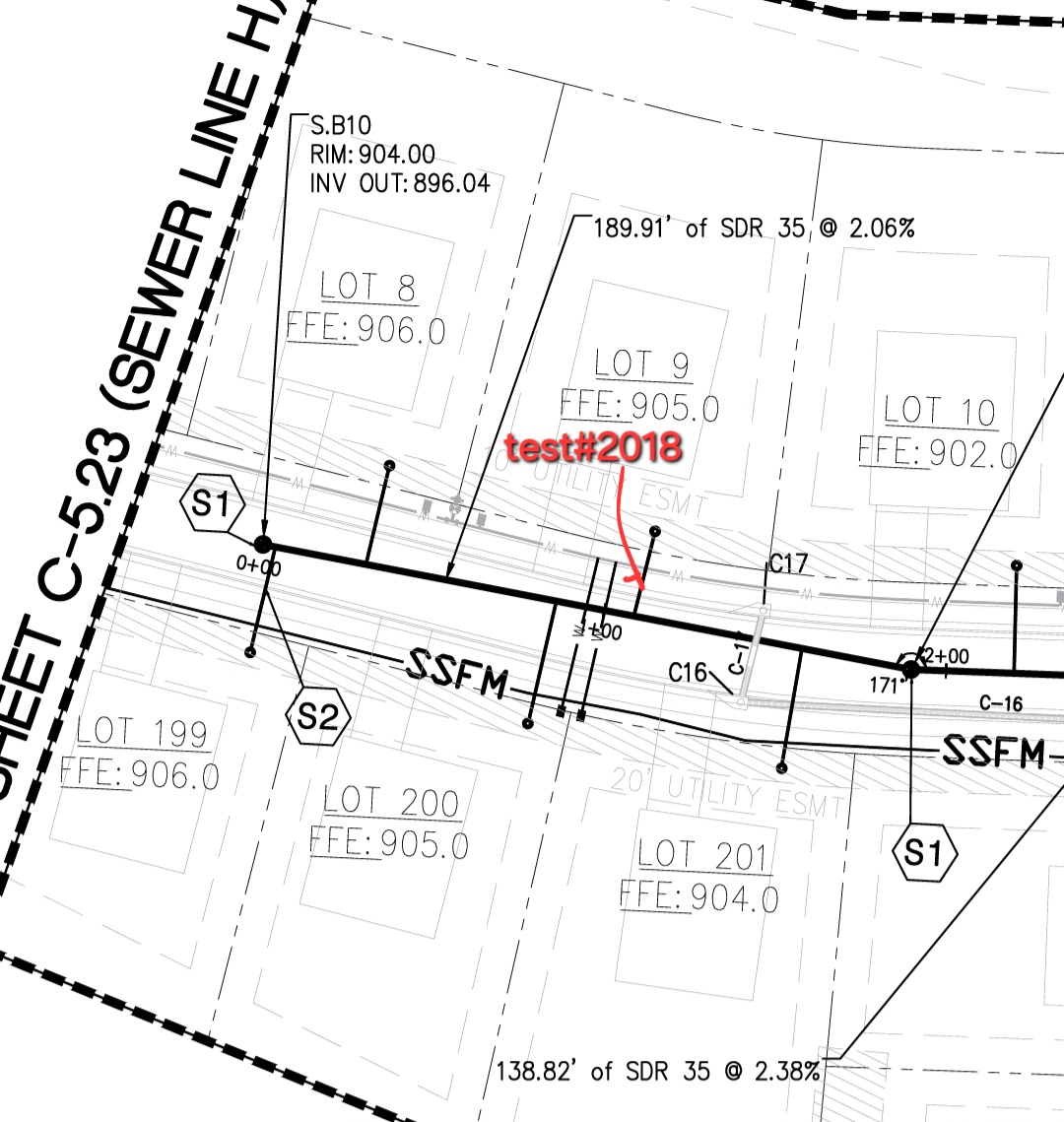
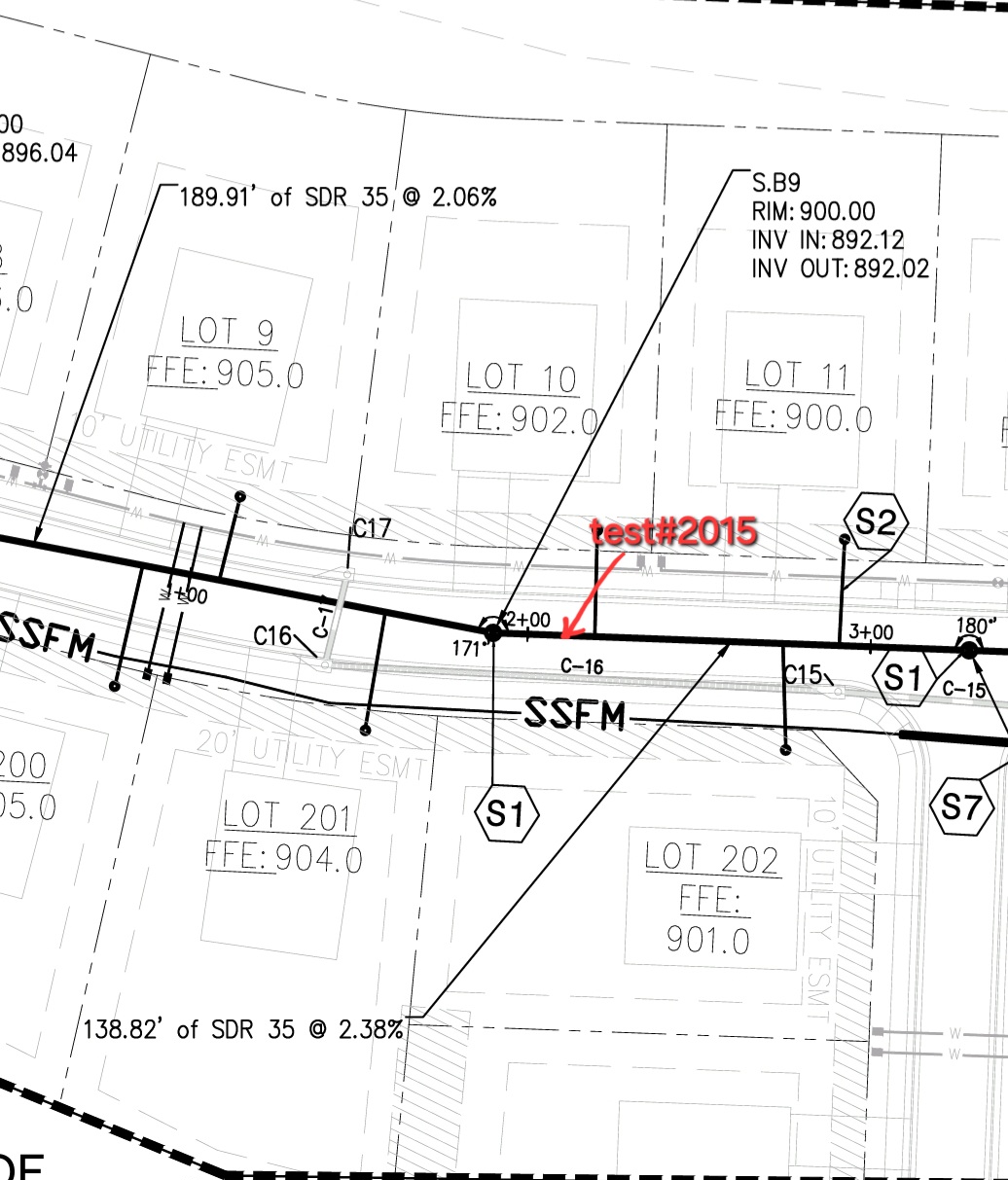
  • The placement and compaction of backfill soils for the sewer trench, between, MHSB7, MHSB8, MHSB9, MHSB10 and storm water trench between MHC9, MHC10 continued this day.
  • At the time of arrival, our representative observed that work was in progress with1-foot lifts being placed and compacted using a 20-ton sheeps-foot and trench compaction equipment. Compaction testing was performed using a Troxler nuclear density gauge (ASTM D 2937), along with general probing using a 3/8″ diameter probe rod.
  • Density test results indicate that most of the compacted materials met the project requirement of 95% of the maximum dry density obtained by a Standard Proctor ASTM 698.

We appreciate the opportunity to be of service to you on this project. If you have any questions regarding this report, please feel free to contact us. We will be more than happy to discuss it with you.

Technician Signature / DateAminullah Azimi, October 23, 2024
Reviewer Name / DateKenneth Mosman, November 05, 2024