- Home
- Daily Field Report Report ID: 77963
- This project is inactive from admin. Download Report
Daily Field Report
Observations/Finding
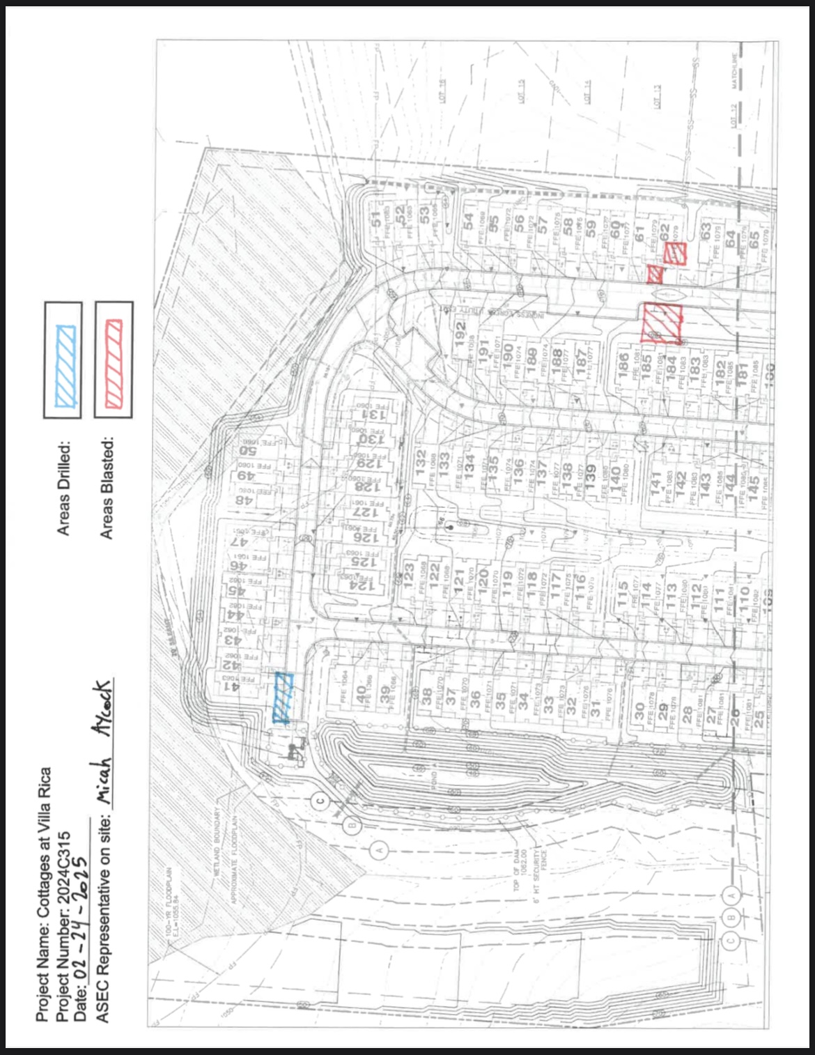
The aforementioned AS Engineering and Consulting (ASEC) representative visited the Cottages at Villa Rica site to monitor drilling and rock removal operations. The contractor performing the work was Precision Blasting. The following observations were made on-site:
Blasting Data:
The holes that were blasted today consisted of a small trench pattern in the middle, with two mass rock patterns on either side. The location of this blasting was in-between lot #185 and lot #61, running down the main sewer line. A total mass rock area blasted was 1188 square feet with an average pay thickness of 6.67 feet. The calculated volume of the mass rock blasted was 293.33 cubic yards. The total trench area blasted was 432 square feet with an average pay thickness of 7.29 feet. The calculated volume of trench rock blasted was 116.71 cubic yards.
Drilling data:
The drilling continued northwest of manhole A1, just south of lot #41. It followed a trench pattern and was reaching depths of 26ft, top of rock was around 6ft on average. This is where todays operations concluded.
We appreciate the opportunity to assist you with this project. Should you have any questions regarding this report, please do not hesitate to contact us. We would be happy to discuss it with you.









